REQUEST A TOUR If you would like to see this home without being there in person, select the "Virtual Tour" option and your agent will contact you to discuss available opportunities.
In-PersonVirtual Tour

Listed by Mark Haberle • Covewood Estates LLC
$ 235,000
Est. payment | /mo
1.91 Acres Lot
$ 235,000
Est. payment | /mo
1.91 Acres Lot
Key Details
Property Type Vacant Land
Sub Type Land/Acreage
Listing Status Active
Purchase Type For Sale
MLS Listing ID 672039
HOA Y/N No
Lot Size 1.910 Acres
Acres 1.91
Lot Dimensions 239x365
Property Sub-Type Land/Acreage
Source Pensacola MLS
Property Description
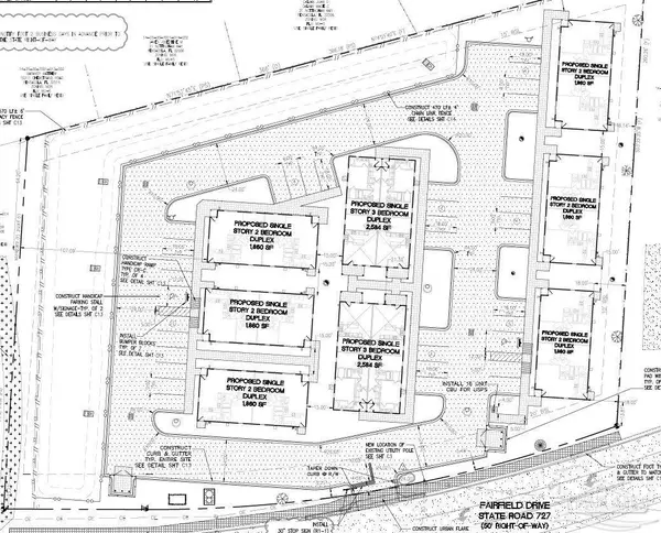
Prime Development Opportunity on 1.91 Acres — 5006 W Fairfield Dr, Pensacola, FL Unlock the potential of this 1.91-acre parcel located along busy W Fairfield Drive, offering excellent visibility and convenient access to major roadways, shopping, and employment centers, this property provides flexibility for a variety of development options. A previous development order was approved for an 8-duplex (16-unit) multifamily project with a minimum of 36 paved parking spaces, showcasing the site's readiness for residential potential. A complete set of plans is available and will convey with the sale, saving valuable time in the planning and approval process. Whether you're a developer, investor, or business owner seeking a strategic location, 5006 W Fairfield Dr presents a rare opportunity to bring your next project to life in one of Pensacola's growing corridors.
Location
State FL
County Escambia - Fl
Exterior
Utilities Available Sewer Available
View Y/N No
Building
Faces From Mobile Hwy, W on W Fairfield. Property on the north side of the street.
Water Public
New Construction No
Others
Tax ID 142S307000001014

"My job is to find and attract mastery-based agents to the office, protect the culture, and make sure everyone is happy! "



